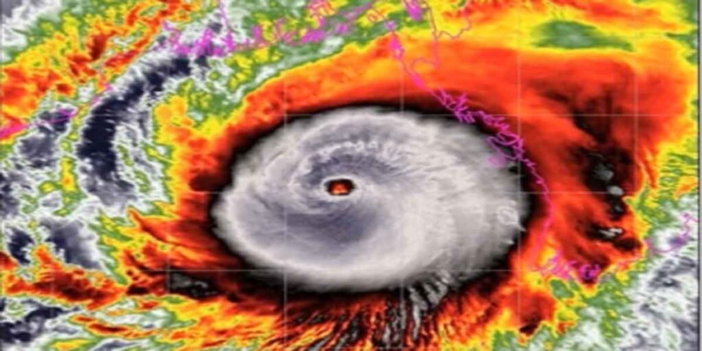
ढाका। कैटेगरी पांच स्तर का भीषण चक्रवाती तूफान मोचा (Cyclonic Storm Mocha) रविवार को बंगलादेश (Bangladesh) और म्यांमार (Myanmar) के तटों से टकराया जिससे भारी बारिश हुई और 195 किलोमीटर प्रति घंटे तक की रफ्तार से हवाएं चलीं। ढाका ट्रिब्यून (Dhaka Tribune) के अनुसार, बांग्लादेश मौसम विज्ञान विभाग (Bangladesh Meteorological Department) के निदेशक मोहम्मद अजीजुर रहमान (Mohd Azizur Rahman) ने कहा है कि शाम तक चक्रवात के कमजोर पड़ने की संभावना है। सरकार ने रविवार के लिए बहुत भारी वर्षा के पूवार्नुमान से जुड़ी एक भूस्खलन की आधिकारिक चेतावनी भी जारी की। चक्रवात के कारण दो फ्लोटिंग एलएनजी टर्मिनलों (Floating LNG Terminal) से गैस की आपूर्ति निलंबित कर दी गई थी।
ये भी पढ़ें- http://मप्र में नहीं बनने देंगे केरल स्टोरी: शिवराज
अधिकारियों ने मोचा के कारण सभी शैक्षिक बोडरें के तहत सोमवार की माध्यमिक विद्यालय प्रमाणपत्र या एसएससी परीक्षाओं को निलंबित कर दिया है। अवामी लीग के महासचिव ओबैदुल कादर (Obaidul Kader) ने कहा कि बांग्लादेश की प्रधानमंत्री शेख हसीना (Sheikh Hasina) खुद स्थिति की निगरानी कर रही हैं और चक्रवात से निपटने के निर्देश दे रही हैं। म्यांमार के सितवे क्षेत्र में बिजली और वाई-फाई कनेक्शन बाधित हो गए। बीबीसी की रिपोर्ट के अनुसार, सितवे में बचाव दल ने कहा कि उन्हें बाढ़ में फंसे लोगों के संकटकालीन कॉल आ रहे हैं। (आईएएनएस)
